El huracán más FEROZ del siglo ARRASA un país y encamina SU FURIA a otros territorios
El Caribe enfrenta una emergencia histórica tras el paso del huracán más poderoso en más de un siglo, que devastó Jamaica y avanza hacia nuevas regiones con fuerza destructiva.
Únete al canal de Whatsapp de El Popular- Confirmado | Exigen el retiro urgente de este pescado de los supermercados por ser un riesgo mortal para la población
- ALARMA en Walmart: ICE se burló y arrestó a padre de familia que huyó de la guerra de Ucrania hacia EE.UU.

El Caribe atraviesa momentos dramáticos luego del impacto del huracán más intenso registrado en más de 100 años. Con ráfagas violentas, precipitaciones severas y marejadas sin precedentes, el ciclón convirtió amplias zonas urbanas en escenarios de destrucción total. Las imágenes de ruinas y los llamados oficiales a evacuar continúan multiplicándose mientras el fenómeno sigue su recorrido.
Conocido como el "huracán del siglo", este sistema tropical ha arrasado todo a su paso y mantiene un avance feroz por el Atlántico. Las alertas internacionales se mantienen activas, dado que millones de personas se preparan frente a una amenaza climática sin comparación en la era moderna.
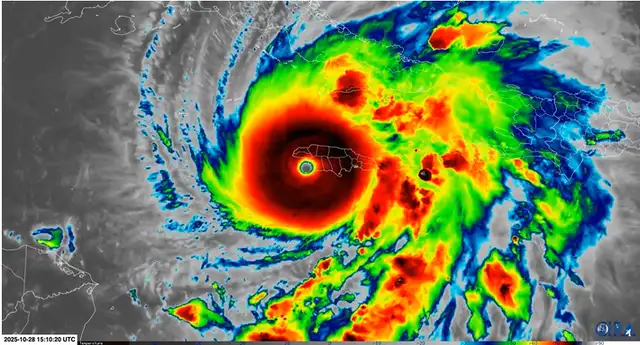
El huracán Melissa y la nación más afectada
Melissa, clasificado como huracán categoría 5, golpeó directamente a Jamaica con vientos que alcanzaron los 295 km/h, convirtiéndose en el ciclón más potente en la historia del país. El gobierno declaró la isla en "estado de desastre nacional" tras la destrucción masiva de hogares, centros médicos y áreas agrícolas. Más de medio millón de habitantes debieron ser evacuados y comunidades enteras quedaron completamente anegadas.

Tragedia y desesperación: huracán del siglo desola un país y crece la amenaza global.
Posteriormente, el huracán tocó tierra en Cuba como categoría 4, llegando durante la madrugada a Santiago de Cuba. El mandatario Miguel Díaz-Canel advirtió que el país vive “una de las noches más difíciles de las últimas décadas”. Más de 500.000 cubanos fueron trasladados a refugios y se reportaron apagones en amplias zonas del territorio.
- Datos confirmados: ráfagas entre 250 km/h y 295 km/h, daños en Jamaica, Cuba, Haití y República Dominicana, y más de un millón de personas evacuadas en total.
Regiones en riesgo por la trayectoria del ciclón
Con su centro ubicado sobre el oriente cubano, Melissa se desplaza lentamente hacia el noreste, acercándose a Bahamas y Bermudas. Según el Centro Nacional de Huracanes de EE. UU. (NHC), el sistema mantendrá condiciones "extremadamente peligrosas" durante las próximas dos jornadas, con olas que podrían superar los cuatro metros y lluvias capaces de provocar deslaves e inundaciones severas.
Las autoridades de Bahamas y Bermudas han ordenado evacuaciones preventivas, mientras la Organización Meteorológica Mundial advierte que el calentamiento del Atlántico está intensificando estos fenómenos. En Estados Unidos, la Guardia Costera monitorea potenciales impactos en Florida y la costa este por marejadas significativas.
Zonas en alerta crítica: Santiago de Cuba y Guantánamo por riesgo de inundaciones; islas Bahamas con evacuaciones obligatorias; Bermudas en vigilancia por impacto indirecto; y el litoral atlántico de EE. UU. bajo observación por oleajes peligrosos.
Periodista especializada en tendencias y actualidad. Licenciada en Periodismo en la Universidad Jaime Bausate y Meza. Certificada en SEO y Marketing Digital. Interesada en temas relacionados con tendencia, coyuntura nacional, farándula y más.














